Äikesetormid
Äikesetormide ajal põrkuvad vihmapiisad või raheterad üksteise vastu ning pilvede ja maapinna vahel tekivad võimsad elektrisähvatused. Elekter "hüppab" läbi õhu maasse või teise, lähedalasuvasse pilvesse, õhk kuumeneb väga tugevasti ning paisub kiiresti. See põhjustabki pikseraksatuse ja välgu.
Valgus liigub helist kiiremini ning seepärast näemegi välgusähvatust enne müristamist. Et teada saada, kui kaugel on välk, loenda sekundeid välgu ja müristamise vahel ja saadud sekundite arv jaga kolmega ning saadki teada mitme kilomeetri kaugusel on välk.
![]() |
| Kaasaegne mudel äikesepilve laengujaotusest. Joonis: NOAA http://www.nssl.noaa.gov/primer/lightning/ltg_schematic.html |
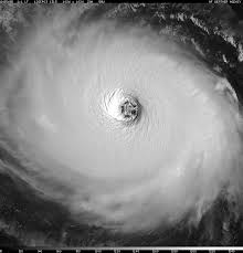
Troopiline tsüklon
Orkaanid, taifuunid ja (troopilised) tsüklonid on troopiliste tsüklonite (tormide) erinevad nimetused. Sellised tormid tekivad siis, kui õhk soojade troopikamerede kohal tõuseb ja hakkab pöörlema. Keegi ei tea päris täpselt, miks see nii on. Enamik troopilisi tsükloneid kujuneb Vaikses ookeanis ning liigub üle Filipiinide, Hongkongi, Hiina ja Jaapani. Samuti on neid palju Põhja-Austraalias ning USA lõunaosas ja Mehhikos.
Keeristormid haaravad tavaliselt umbes 500 km laiuse ala ning liiguvad umbes 15km tunnis. Tormi keskpunkti kutsutakse tormi "silmaks". Seal on täielik tuulevaikus, tormituuled pöörlevad ümber "silma". Tormiala äärtel võib tuule kiirus ulatuda kuni 120 km tunnis ning selline tuul purustab hooneid. Keeristormiga kaasnevad paduvihmad võivad põhjustada üleujutusi.
Kosmosesatelliidid võivad märgata keeristormi spiraalkujulist pilve enne, kui see maale jõuab. Aegsasti antud tormihoiatus võimaldab inimestele teha ettevalmistusi.
| Orkaan pealtvaates |
Tornaadod ja vesipüksid
Tornaado on umbes 0,5 km laiune pöörlev õhusammas. Tema keskmes on õhurõhk väga madal ning seetõttu imeb tornaado edasiliikumisel endasse kõike, mis teele ette jääb.
Tornaado liigub 15-50 km/h, õhk selles kuni 400 km tunnis, kuid tavaliselt ta hääbub juba umbes 20 km kaugusel oma tekkekohast.
Tornaadod on kõige tavalisemad Austraalias ja USA-s. Nad võivad tekkida kogu aasta vältel, kuid kõige rohkem on neid kevadel (USAs aprillis ja mais).
Vesipüks on tornaado sarnane, kuid tema tekib merel. Tormi keskpunkt imeb endasse merevett, taeva ja mere vahele tekib tihe udu ja pilvisus.
![]() |
| Pilt tornaadost aastal 2005. |







0 kommentaari:
Postita kommentaar